Descripción del proyecto

Palmas de Jerusalén es un proyecto de lotización estratégica que integra la tranquilidad de un entorno campestre con la funcionalidad urbana, ubicado en la vía Jerusalén–Paccha en el sector de mayor plusvalía de Macas. Su ubicación privilegiada permite llegar al centro de la ciudad en solo 5 minutos y sitúa la propiedad a 100 metros del futuro Colegio Don Bosco, a 300 metros de la cancha sintética y a 700 metros del Polideportivo Leonidas Proaño. Esta cercanía a centros educativos y complejos deportivos garantiza una inversión con alta proyección de crecimiento y una calidad de vida excepcional para construir su hogar.

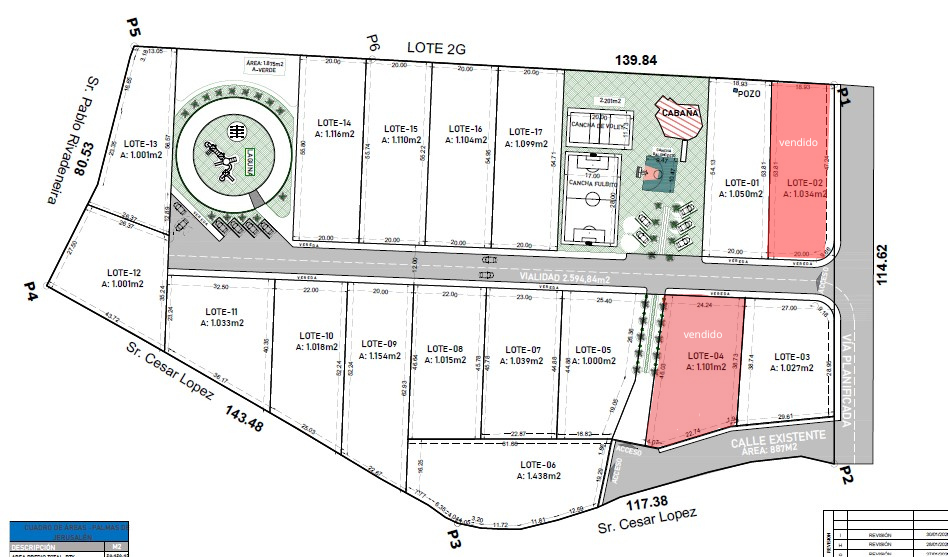
Plano de lotes

Plano de lotes Palmas de Jerusalen

Tabla de detalle

Lote Tipo Estado
Lote Tipo Estado

Galería

Videos